إعصار 'راغاسا' يعطل الحياة اليومية في جنوب الصين
نيسان ـ نشر في 2025-09-23 الساعة 14:01
نيسان ـ قلصت مدن جنوب الصين العديد من جوانب الحياة اليومية، اليوم الثلاثاء، مع إغلاق المدارس والشركات وإلغاء رحلات جوية، بينما تستعد المنطقة لوصول أحد أقوى الأعاصير منذ سنوات، والذي تسبب بالفعل في مقتل ثلاثة أشخاص وتشريد آلاف آخرين في الفلبين.
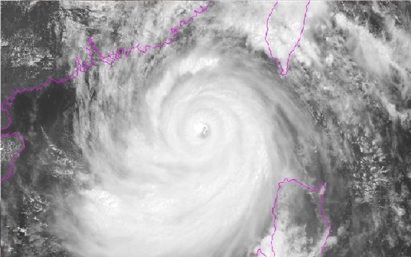
وقال مرصد هونغ كونغ، إن الإعصار الفائق "راغاسا"، الذي تصل سرعة الرياح المستمرة بالقرب من مركزه إلى نحو 230 كيلومتراً في الساعة، من المتوقع أن يتحرك باتجاه الغرب إلى الشمال الغربي بسرعة تقارب 22 كيلومتراً في الساعة عبر الجزء الشمالي من بحر الصين الجنوبي، مقترباً من سواحل مقاطعة غوانغدونغ، المركز الاقتصادي في جنوب الصين.
وتوقع المركز الوطني للأرصاد الجوية في الصين أن يضرب الإعصار المناطق الساحلية بين مدينة شنتشن ومقاطعة شيوين في غوانغدونغ يوم الأربعاء.
وبعد أن رفع بالفعل تحذير من رياح قوية، أعلن مرصد هونغ كونغ أنه سيصدر إشارة العاصفة رقم 8، وهي ثالث أعلى درجة في نظام التحذير الجوي بالمدينة، بعد ظهر الثلاثاء، وسيتابع تقييم الحاجة إلى رفع مستوى التحذير مساء الثلاثاء أو صباح الأربعاء.
وتصنف المدينة الأعاصير المدارية التي تبلغ سرعة الرياح المستمرة بالقرب من مركزها 185 كيلومتراً في الساعة أو أكثر على أنها "أعاصير فائقة"، بهدف زيادة يقظة السكان تجاه اقتراب عواصف أشد قوة.
وقال مرصد هونغ كونغ، إن الإعصار الفائق "راغاسا"، الذي تصل سرعة الرياح المستمرة بالقرب من مركزه إلى نحو 230 كيلومتراً في الساعة، من المتوقع أن يتحرك باتجاه الغرب إلى الشمال الغربي بسرعة تقارب 22 كيلومتراً في الساعة عبر الجزء الشمالي من بحر الصين الجنوبي، مقترباً من سواحل مقاطعة غوانغدونغ، المركز الاقتصادي في جنوب الصين.
وتوقع المركز الوطني للأرصاد الجوية في الصين أن يضرب الإعصار المناطق الساحلية بين مدينة شنتشن ومقاطعة شيوين في غوانغدونغ يوم الأربعاء.
وبعد أن رفع بالفعل تحذير من رياح قوية، أعلن مرصد هونغ كونغ أنه سيصدر إشارة العاصفة رقم 8، وهي ثالث أعلى درجة في نظام التحذير الجوي بالمدينة، بعد ظهر الثلاثاء، وسيتابع تقييم الحاجة إلى رفع مستوى التحذير مساء الثلاثاء أو صباح الأربعاء.
وتصنف المدينة الأعاصير المدارية التي تبلغ سرعة الرياح المستمرة بالقرب من مركزها 185 كيلومتراً في الساعة أو أكثر على أنها "أعاصير فائقة"، بهدف زيادة يقظة السكان تجاه اقتراب عواصف أشد قوة.


